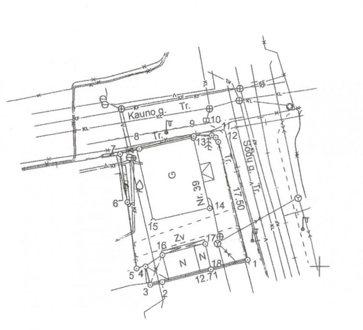
Jonavos r. sav. administracija skelbia nekilnojamojo turto pardavimo pakartotinį viešąjį aukcioną. Parduodamas turtas: gyvenamasis namas su kiemo statiniais, esantys Kauno g. 39, Jonava (namo bendras plotas 72,01 kv. m) su jiems priskirtu 0,0286 ha ploto žemės sklypu. Pradinė pardavimo kaina 20 350 Eur. Už turto apžiūrą atsakinga Turto ir aplinkos apsaugos skyriaus vyriausioji specialistė Sandra Mačiulienė, tel.: (8 349) 20040, el.paštas: sandra.maciuliene@jonava.lt.
Aukcionas vykdomas elektroniniu būdu VĮ Registrų centro administruojamoje specialiojoje svetainėje www.evarzytynes.lt. Elektroninio aukciono dalyviais registruojami asmenys, sumokėję aukcionų dalyvių įmokas ir internetu pateikę aukcionų sąlygose nurodytus dokumentus. Daugiau informacijos apie parduodamą turtą, išsamios viešojo aukciono sąlygos, turto apžiūros, aukciono dalyvių registracijos bei aukciono vykdymo laikotarpiai, sutarčių projektai skelbiami https://www.jonava.lt/savivaldybe/administracine-informacija/parduodamas-turtas/739.
Darbuotojas, atsakingas už informacijos teikimą – Turto ir aplinkos apsaugos skyriaus vyriausioji specialistė Sandra Mačiulienė, tel.: (8 349) 20040, el.paštas: sandra.maciuliene@jonava.lt.
Nuoroda į elektroninį aukcioną
Antro aukciono sąlygos (neįvyko)
Pirmo aukciono sąlygos (neįvyko)
Preliminari statinio pirkimo-pardavimo sutartis














.jpg)

