Jonavos r. sav. administracija skelbia nekilnojamojo turto pardavimo viešąjį aukcioną.
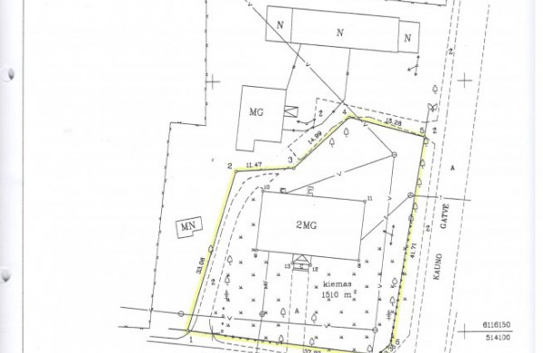
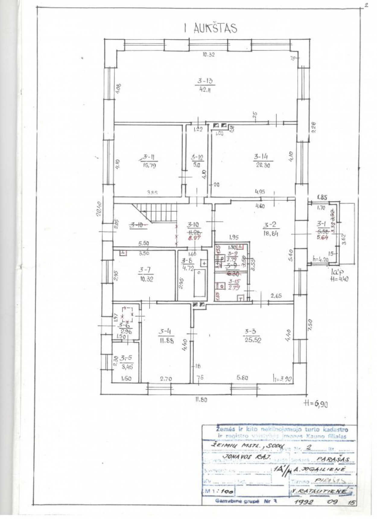
Parduodamas turtas: patalpos, esančios Sodų g. 2-1A, Žeimių mstl., Jonavos r. (bendras plotas 185,02 kv. m) su joms priskirta žemės sklypo dalimi (0,0878 ha iš 0,1510 ha). Pradinė pardavimo kaina 6800 Eur. Už turto apžiūrą atsakingas Žeimių seniūnijos seniūnas Faustas Pilipavičius, tel. (8 349) 78048, mob. (8 616) 16035, faustas.pilipavicius@jonava.lt.
Aukcionas vykdomas elektroniniu būdu VĮ Registrų centro administruojamoje specialiojoje svetainėje www.evarzytynes.lt. Elektroninio aukciono dalyviais registruojami asmenys, sumokėję aukcionų dalyvių įmokas ir internetu pateikę aukcionų sąlygose nurodytus dokumentus. Daugiau informacijos apie parduodamą turtą, išsamios viešojo aukciono sąlygos, turto apžiūros, aukciono dalyvių registracijos bei aukciono vykdymo laikotarpiai, sutarčių projektai skelbiami https://www.jonava.lt/savivaldybe/administracine-informacija/parduodamas-turtas/739.
Darbuotojas, atsakingas už informacijos teikimą – Turto ir aplinkos apsaugos skyriaus vyriausioji specialistė Sandra Mačiulienė, tel.: (8 349) 20040, el.paštas: sandra.maciuliene@jonava.lt.
Preliminari patalpų pirkimo-pardavimo sutartis















.jpg)

